My Search Tools:

$22 - 2 Pr Highway, VEGA BAJA

-
Bedrooms
-
Baths
N/A
SQ. Feet
2
Acres

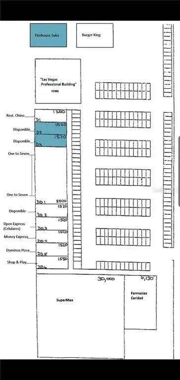
Las Vegas Mall Shopping Center and Professional Building in Vega Baja has a shopping center Anchored by Supermax and Caridad Pharmacy and an office building. The property is located next to another shopping center and is next to the Wilda Vazquez Hospital. The Shopping next door includes Walgreens, Auto Zone, Wendys, and Berrios. Across the street is CVS.

Essential Information

  • MLS® #:
    PR9088608
  • Price:
    $22
  • Acres:
    2.00
  • Year Built:
    1990
  • Type:
    Commercial Lease
  • Sub-Type:
    Mixed Use
  • Status:
    Active

Community Information

  • Address:
    2 Pr Highway
  • Area:
    Vega Baja
  • Subdivision:
    LAS VEGAS SHOPPING
  • City:
    VEGA BAJA
  • County:
    Vega Baja
  • State:
    PR
  • Zip Code:
    00693

Interior

  • Cooling:
    None

Additional Information

  • Days on Market:
    2587

Listing Details

  • Listing Office:
    Winer Property Group

Listing information courtesy of Winer Property Group.

All listing information is deemed reliable but not guaranteed and should be independently verified through personal inspection by appropriate professionals. Listings displayed on this website may be subject to prior sale or removal from sale; availability of any listing should always be independently verified.

Listing information is provided for consumer personal, non-commercial use, solely to identify potential properties for potential purchase; all other use is strictly prohibited and may violate relevant federal and state law.

Listing data comes from My Florida Regional MLS.

Listing information last updated on April 20th, 2026 at 5:53pm EDT.